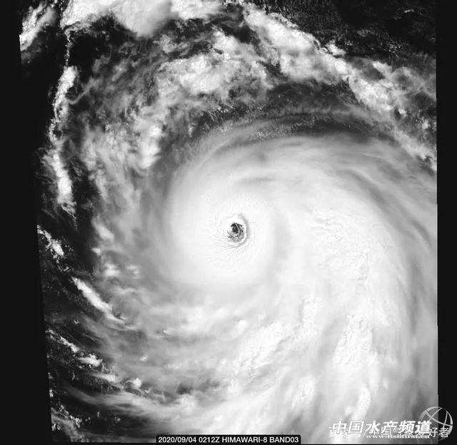
| 中國水產頻道綜合報道, 兇猛秋臺風爆發季來了!17級以上,臺風“海神”確定今年來最強“風王”,天災“美莎克”慘虐東北,受傷嚴重... 兇猛!17級以上!首個秋臺風“海神”成今年最強“風王”! 今年首個秋臺風——最強風王,風力超17級 今年第10號臺風“海神”已于今天(4日)早晨由強臺風級加強為17級的超強臺風級,14時,其中心附近最大風速達58米/秒,它的強度已經超越“美莎克”的巔峰強度,成為西北太平洋及南海今年以來的風王。在不少人眼中,夏天是臺風最活躍,也是臺風最容易致災的季節。其實,到了秋天,臺風雖然不如夏天那么多,但威力和影響不容小覷,并且秋臺風多是“狠角色” ,超強臺風占比高! 今天上午臺風海神達到了它的第一個巔峰期——隨著它環流進一步規整,核心云區在可見光衛星云圖下變得平整光滑,而風眼則變得清晰深邃渾圓,甚至可以從風眼內直接看到海面,代表著極高的清空度。可以說,這種景象是今年以來的首次,雖然中央氣象臺目前認為其只是16級、52米/秒的超強臺風,但如此強大的臺風海神基本上已經可以確定是今年以來的最強“風王”。 和之前超級計算機預報的一樣,臺風海神已經加強成為了一個又大又強的臺風,一個重要的原因是,臺風海神所處在日本以南洋面海水熱量極其充沛。監測數據顯示,臺風海神所處的日本以南洋面有著大范圍的30度以上的高海溫區域,此前日本氣象廳一度指出,這一帶海區的海水溫度達到了1982年以來的觀測史上最高水平。這樣的“暖池”自然能給臺風海神支持,是臺風海神發展成為超強臺風的重要條件。 接下來臺風海神要經過的海區水溫仍然很高,所以中央氣象臺認為它還會繼續增強,中央氣象臺的預測認為,臺風海神將繼續向著西北方向移動,在9月5日可能加強至62米/秒、17級以上的超強臺風級,這樣一來將確定臺風海神的“風王”位置,成為今年以來西太平洋出現的最強臺風。 不過,無論是中央氣象臺還是超級計算機,都認為臺風海神后期路徑將飛速北上,可能一路橫掃日本韓國朝鮮并最終還將走臺風美莎克的老路再次進入我國東北,這將是繼臺風巴威、臺風美莎克后我國東北今年遭遇的第三個臺風,對于東北來說,這還可能給東北的農業雪上加霜。 急急急!臺風“海神”即將影響東部海域,山東半島沿岸海域將有雷暴大風 一、我國東部海域出現了4~6級風 4日08時至14時,東海南部海域、臺灣海峽、臺灣以東洋面出現了4~6級、陣風7級的東北風。 二、臺風“海神”將影響我國東部海域 預計,4日夜間,山東半島沿岸海域將有8~10級雷暴大風。受臺風“海神”影響,5日白天至7日白天,東海大部海域、黃海中東部海域將有6~8級、陣風9~10級的偏北風,其中東海東部海域的風力可達9~11級、陣風12~13級,“海神”中心經過的附近海域風力可達12~16級、陣風17級及以上 未來三天具體預報如下: 4日20時至5日20時,東海東部海域的東北風風力將逐漸增大到6~7級、陣風8級,臺灣海峽、臺灣以東洋面將有5~6級、陣風7級的偏北到東北風。另外,山東半島沿岸海域將有8~10級雷暴大風。 5日20時至6日20時,東海大部海域將有6~8級、陣風9~10級偏北風到東北風,其中東海東部海域將有9~11級、陣風12~14級旋轉風,“海神”中心經過的附近海域風力可達12~16級、陣風17級及以上,臺灣海峽、臺灣以東洋面將有5~6級、陣風7級的偏北風。 6日20時至7日20時,東海大部海域、黃海中東部海域將有6~8級、陣風9~10級的偏北風,其中東海東部海域的風力可達9~11級、陣風12~13級,“海神”中心經過的附近海域風力可達12~15級、陣風16~17級,渤海東部海域、渤海海峽將有4~6級東北風轉偏北風。 三、未來4~7天天氣展望 預計,7日夜間至8日白天,黃海大部海域、渤海海峽、渤海將有6~7級、陣風8~9級的西北風轉偏西風,其中黃海中東部海域的風力可達8級、陣風9~10級。 四、天氣影響和關注重點 預計,4日夜間,山東半島近岸海域將有8~10級雷暴大風。5日白天至7日白天,東海大部海域、黃海中東部海域將有6~8級、陣風9~10級的偏北風,其中東海東部海域的風力可達9~11級、陣風12~13級,“海神”中心經過的附近海域風力可達12~16級、陣風17級及以上。受大風影響海域航行、作業的船舶,需注意航行安全。 大數據揭示秋臺風有多猛!未來10天還有1個臺風生成 秋臺風的“狠”不僅體現臺風強度上,而且災害影響也可能升級。由于秋季冷空氣逐漸增多,臺風還更容易遇到冷空氣,而“秋臺風+冷空氣”是個可怕的組合,兩者聯手往往會激發出猛烈的降水,從而導致更大的災害。 秋臺風路徑更加復雜多變,與影響秋臺風的天氣系統有關。中國天氣網氣象分析師邵鵬表示,秋季時,像是西風帶、副熱帶高壓、冷空氣等,這些天氣系統相互博弈,不分勝負,就好比一個“熊孩子”被不同“家長”影響、管制,因此變得忽東忽西、忽南忽北,路徑詭異多變,大大提高了預測難度。 無論從預報難度還是威力來說,秋臺風都是十足的“狠角色”,破壞力不可小覷。根據中央氣象臺預報,臺風“海神”雖不登陸我國,但也將在9月7日至9日給東北地區帶來較大風雨影響。此外,未來10天,南;蛭鞅碧窖竺孢將有1個臺風生成。中國天氣網將持續為大家帶來最新的臺風動態,沿海居民一定要關注臨近預警預報,做好防臺工作。 臺風“美莎克”攜大風大暴雨肆虐東北,農業受災慘重! 受臺風“美莎克”的侵襲,吉林省玉米發生大面積倒伏,就像棉被一樣鋪在地上,減產已成定局。農業專家王文祿稱,此次損失很大,現在玉米都出棒了,基本上人工或者其他補救措施都無效了。 受臺風美莎克影響,吉林梅河口市出現大暴雨,引發嚴重城市內澇。 緊急通知!超強臺風來襲,9月2日-6日,東北地區,大風+大雨+大暴雨! 提醒養殖朋友們,尤其是華東、山東、東北的朋友,密切關注臺風進展,提前做好各種防范措施。祝大家順利、平安。本文轉自【中國氣象愛好者、中央氣象臺、中國天氣網、實時臺風】。如有版權問題,敬請聯系wx@fishfirst.cn。) |

| 重點推薦 |
| |
免責聲明:
1、凡本網注明“來源:水產前沿網”的所有作品,均為水產前沿網合法擁有版權或有權使用的作品,未經本網授權不得轉載、摘編或利用其它方式使用上述作品。已經本網授權使用作品的,應在授權范圍內使用,并注明“來源:水產前沿網”。違反上述聲明者,本網將追究其相關法律責任。
2、凡本網注明“來源:XXX(非水產前沿網)”的作品,均轉載自其它媒體,轉載目的在于傳遞更多信息,并不代表本網贊同其觀點和對其真實性負責。
3、如本網轉載涉及版權等問題,請作者在15天內來電或來函與水產前沿網聯系。聯系方式:020-85595682。
