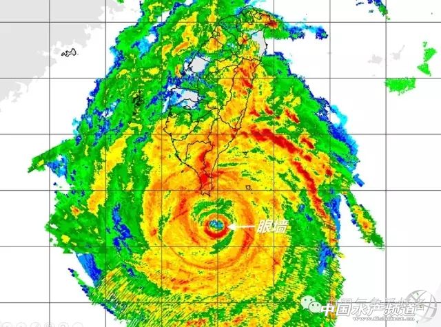
| 中國水產頻道綜合整理報道, 9月14日16:41分更新:【現場】福州巨型月球模型被“莫蘭蒂”外圍大風吹跑 據中國氣象愛好者微博消息,臺江區的吳彥祖反映,福州寶龍廣場歡慶中秋的巨型月球模型被“莫蘭蒂”外圍大風吹起,沿途司機紛紛嚇cry,充氣月亮表示“清者自清”。福建中南部沿海歡度中秋的戶外活動還是不要搞為好了吧。 9月14日16:25分更新:【預報】福建多地日雨量或破9月紀錄 隨著臺風“莫蘭蒂”逐漸靠近,今夜起,福建多地將出現狂風暴雨,預計多地的雨量將打破9月日雨量紀錄。 9月14日16:20分更新:【應對】廈門實行“三停一休” 史上首次 廈門防汛抗旱指揮部發布緊急通知:從14日15:30時開始到防臺風防汛一級應急響應結束之前,在全市范圍內實行“三停一休”,即停工(業)、停產、停課、休市,動員員工提前下班回家;應急單位取消節假日休息。 9月14日16:07分更新:【防御】臺風天不要在樹下停車 臺風天,避免在樹下停車!發現有倒樹的情況,有危險請及時撥打110求幫助。同時警方提醒車友,臺風天氣盡量避免在高架路或高速公路上行駛,在路上的要找最近的出口下去,避免發生危險。 9月14日15:23分更新:【影響】南航今天20點起取消所有往返廈門航班 超強臺風“莫蘭蒂”來襲,今天20點至明天12點,南航取消所有往返廈門航班,今天20點至明天10點,南航取消所有往返揭陽航班,往返福州、臺北航班監控放行并提前做好改航繞飛預案。截至今天14:30時,中國南方航空計劃取消今天往返臺北、廈門、揭陽等3地機場進出港航班35班。 9月14日15:14分更新:【實況】福州出現11級大風 下午風雨繼續加大 據福州氣象臺消息,“莫蘭蒂”已經給福州沿海帶來10~11級大風,其中長樂石屏山最大陣風達到32.4米/秒(11級),福清上坤村31.3米/秒(11級),福州城區也出現7~11級陣風,主城區普遍出現7~8級陣風。下午風力會進一步增大,各地降雨也會逐漸加強。立即收好戶外易被風吹動的物品,加固或拆除臨時搭建物,將車輛遠離大樹或工棚,確保安全! 9月14日15:09分更新:【現場】福建石獅沿海現7、8米高大浪 據泉州晚報報道,中午12點左右,在石獅祥芝港一堤壩處,海浪拍打石壁,發出轟轟巨響,大浪高達七八米,同時天空下起小雨。 9月14日14:48分更新:【實況】浙江安徽江蘇多地降大雨 今天08時至14時,在我國東部沿海一帶出現明顯降雨。“莫蘭蒂”和“馬勒卡”兩個臺風將水汽源源不斷地通過偏東氣流輸送到江南東部一地,同時有東北方向的相對冷的氣流自朝鮮半島南下,兩支氣流在江南東部匯合,因此安徽東南部、江蘇南部、浙江西北部一帶出現比較強的降雨,多地的6小時累積雨量達到20-40毫米。 9月14日14:30分更新:【現場】臺風臨近 福建廈門已刮起大風 中國氣象頻道追風記者在福建廈門表示,目前當地陰天云很厚,已起風,有樹和快遞小哥被刮倒…… 9月14日14:23分更新:受臺風“莫蘭蒂”影響臺灣墾丁斷水斷電 正在臺灣墾丁度假的北京電視臺紀錄片導演說:“我這邊斷電斷網斷水,現在用著機場租的Wi-Fi還有手機僅存的電,沒準哪一會兒就沒了……” 9月14日11:36分福建泉州現強風 路人艱難前行樹枝斷落 受臺風“莫蘭蒂”外圍云系影響,福建泉州今天已出現強風,造成樹枝斷落、廣告牌被吹落。 9月14日11:16分更新:【實況】巴士海峽出現6米高狂浪 最新實況顯示,受超強臺風“莫蘭蒂”的影響,臺灣以東洋面出現了8到12米的狂到狂濤區,巴士海峽出現了4到6米的巨到狂浪區。臺灣海峽南口的浮標測到了2.7米的大浪。福建廈門沿岸的海洋站測到了2.5米左右的有效波高。隨著“莫蘭蒂”的逐漸逼近,浪高也將逐漸增大。(圖片來自廈門海洋預報臺) 9月14日10:55分更新:“莫蘭蒂”可能為今年來對我國影響最廣的臺風 臺風“莫蘭蒂”已成為今年來西北太平洋上的風王,極有可能成為今年來登陸我國大陸的最強臺風;同時有可能成為今年來對我國風雨影響范圍最廣的臺風。臺風可能造成“風、雨、潮”及其引發的次生災害疊加,建議福建、廣東、浙江、江西等地需嚴加防范。當前正值南方大部分地區中稻灌漿成熟、晚稻孕穗抽穗的關鍵時期,漁業正處于秋季漁汛生產旺季,要警惕“莫蘭蒂”帶來的強風、大浪、暴雨將對農業生產帶來不利影響。 9月14日10:55分更新:【預警】福建廣東等局地有特大暴雨 預計,9月14日14時至9月15日14時,江蘇南部、浙江東部和南部、江西東部、福建大部、廣東東北部、臺灣大部、四川盆地中南部等地的部分地區有大雨或暴雨,其中,浙江東南部、福建東北部和東南部、廣東東北部、臺灣東部和南部等地的局地有大暴雨或特大暴雨(250~350毫米),上述局地并伴有短時強降水,小時雨強可達30~60毫米,局地80毫米以上。 9月14日10:42分更新:【預警】臺風紅色預警:“莫蘭蒂”將于15日登陸閩粵 預計,“莫蘭蒂”將以每小時20公里左右的速度向西北方向移動,趨向閩粵沿海,強度緩慢減弱,并將于15日凌晨到上午在福建晉江到廣東汕頭一帶沿海登陸(42~50m/s,14~15級,強臺風級),隨后轉向偏北方向移動,于16日凌晨到上午在江西境內減弱為熱帶低壓。 9月14日10:12分更新:廈深線動車15日全部停運 據金羊網消息,廣鐵集團透露,超強臺風莫蘭蒂來襲,為確保安全,15日廈深線動車組將全部停運。另外,從13日晚間起,漳龍線、畬汕線將安排停運始發列車34列。鐵路部門表示,隨著臺風臨近和登陸,受影響的鐵路線路可能將進一步增多。為此,鐵路部門將密切關注臺風動態,并及時調整列車運行方案和發布資訊。 9月14日9:42分更新:【預警】海浪紅色預警:福建南部沿海將現巨浪 受今年第14號超強臺風“莫蘭蒂”的影響,預計14日中午到15日中午,臺灣海峽、南海東北部、巴士海峽、臺灣以東洋面將出現6到11米的狂浪到狂濤區,東海南部、釣魚島附近海域將出現3到5米的大浪到巨浪區,近海海浪預警級別為橙色;福建南部沿岸海域將出現4到6米的巨浪到狂浪,該沿岸海域海浪預警級別為紅色,福建北部沿岸海域將出現3到5米的大浪到巨浪,該沿岸海域海浪預警級別為橙色,廣東東部沿岸海域將出現2.5到4米的大浪到巨浪,該沿岸海域海浪預警級別為黃色,浙江南部沿岸海域將出現2到3米的中浪到大浪,該沿岸海域海浪預警級別為藍色。 9月14日9:21分更新:臺風“莫蘭蒂”逼近 南昌鐵路停售166列動車車票 據新華社報道,據南昌鐵路局消息,受臺風“莫蘭蒂”逼近影響,南鐵停售9月14日至16日共166列動車車票,其中14日停售11列,15日停售153列,16日停售2列。 氣象部門預計,臺風“莫蘭蒂”將于15日凌晨到上午,在福建晉江到廣東惠來一帶沿海登陸。受此影響,合福、杭深、贛瑞龍、昌福、永莆等鐵路沿線將有大暴雨,局地有特大暴雨,對途經的上述線路動車影響嚴重。 其中,受“莫蘭蒂”影響最大的是廈深線和龍漳線,目前南鐵已停售這兩條線路15日所有車次。 目前,南昌鐵路局已指定專人跟蹤衛星云圖變化,掌握臺風、雨情的動態信息,組織人員加強鐵路沿線設備巡查,排查沿線山體。并將根據風速、雨量,及時采取限速、停運等安全運輸措施,確保旅客列車運行安全。 鐵路部門提醒,廣大旅客可登錄12306鐵路客服平臺,關注“南昌鐵路”的微博、微信以及車站廣播公告等,及時了解列車運行情況,合理安排行程。 9月14日9:04分更新 福建福州及以南沿海養殖漁排上人員14日12時前全部撤離上岸 據央廣網消息:受今年第14號臺風“莫蘭蒂”影響,預計14日-15日,臺灣淺灘漁場、閩南漁場將出現6.0-9.0米的狂浪到狂濤;閩中漁場將出現5.0-7.0米的巨浪到狂浪,閩東漁場將出現3.5-5.0米大浪到巨浪,閩外漁場和釣魚島海域將出現3.0-4.5米大浪到巨浪。泉州以南沿海將出現4.0-6.0米的巨浪到狂浪,以北沿海將出現2.5-4.0米的大浪到巨浪。 為此,福建全省沿海各級海洋與漁業行政主管部門立即通知位于臺灣淺灘漁場、閩南漁場、閩中漁場、閩東漁場、閩外漁場和釣魚島海域的海上作業漁船務必于14日12時之前全部就近到港避風,漁船撤離途中要注意航行安全。 福建全省沿海養殖漁排上的老弱婦幼人員、福州及以南沿海養殖漁排上的主要勞動力人員務必于14日12時之前全部撤離上岸,寧德市沿海養殖漁排上的主要勞動力人員做好隨時撤離的準備,并做好全省沿海養殖漁排安全加固工作。 據中國氣象愛好者消息, 今天早晨7點10分,超強臺風莫蘭蒂已經來到臺灣恒春半島正南。 雖然,它確實受到了臺灣的削弱,臺風眼嚴重變形,但是看雷達圖: 臺風能量最集中、狂風暴雨最強的地方--臺風眼墻,沒有受到臺灣高山直接影響。 所以,莫蘭蒂將真正的繞開臺灣,以“一手臺風”的姿態登陸閩南地區。 歷史上,凡是繞開臺灣登陸福建的臺風,大都歷史留名。 5903號臺風艾瑞斯,登陸龍海和廈門之間,廈門市最大陣風記錄的保持者(17級),廈門市幾乎癱瘓,大量人員傷亡,損失慘重: 8015號臺風珀西,東山島風力記錄保持者,十分鐘平均風力48米/秒(15級),東山、云霄損失慘重: 9914號臺風丹恩,登陸廈門-龍海之間,廈門市最大陣風15級(47.1米/秒),廈門市遭受重創,交通癱瘓,停水停氣,打破了鄭成功塑像落成后臺風不再吹襲的當地傳說。福建全省死亡72人。 0102號臺風飛燕,繞過臺灣登陸福清,福建沿海猝不及防,損失慘重。 但是以上這些臺風,都不能和莫蘭蒂相比。 莫蘭蒂在巴士海峽的強度,為歷史第一。先看云圖,這個臺風的風眼之圓,形態之好,為巴士海峽附近僅有。 再看數據,9月14號凌晨2點,莫蘭蒂的臺風眼經過了菲律賓小島itbayat。一小時后,小島報來了一組奇怪的數據: 經過分析,小島的氣壓數據記錄系統,設計的時候沒有料到會有這么低的氣壓,所以數據出現了混亂的情況,把883百帕記成了983百帕。這種氣壓,是全球最低的陸地實測氣壓,打破了1935年大西洋颶風在佛羅里達一個小島上的紀錄(892百帕)。 美國海軍很快反應,在莫蘭蒂形態已經有所變差的情況下,將它凌晨的強度再次提升,達165kt,887百帕,最大陣風 這個數據是什么意思?一分鐘平均風力85米/秒,陣風達到100米/秒以上,遠超京滬高鐵的速度。 正因為此,所有的氣象機構,一致賦予莫蘭蒂2016年“風王”的強度。 其實,現在臺灣海峽的環境,會讓莫蘭蒂進一步減弱。現在臺灣海峽的海溫28度左右。臺灣中央山脈雖然沒有直接弄壞莫蘭蒂的眼墻,但也撕裂了它的外圍環流。 但是,莫蘭蒂前期強度太強,所謂瘦死駱駝比馬大,莫蘭蒂登陸福建時,可能還有超強臺風下限到強臺風上限的實力(15-16級)。 莫蘭蒂已經開始北移,它最大可能于明天早晨在廈、漳、泉沿海登陸。 據中國天氣網消息, 14日4時30分點監測到的超強臺風“莫蘭蒂”云圖(圖片源自NOAA)。 最新臺風消息 據中國天氣網消息,今天06時,超強臺風級“莫蘭蒂”中心位于汕頭市東南偏東約520公里的巴士海峽海面上,中心附近最大風力17級以上,達到65米每秒的風速,中心最低氣壓905百帕,8級大風范圍半徑約240公里。預計,“莫蘭蒂”將以每小時20公里左右的速度向西偏北方向移動,將于15日凌晨到中午在汕尾到福建漳浦之間沿海地區登陸。 今年第14號超強臺風“莫蘭蒂”14日05時中心位于距離福建省漳州市漳浦縣東南方向大約510公里的西北太平洋洋面上,也就是東經121.4°,北緯21.1°,中心附近最大風速65米/秒(17級以上風力,超強臺風),中心最低氣壓905百帕。 預計,“莫蘭蒂”將以每小時20公里左右的速度向西北方向移動,強度維持或略減弱。 9月14日1時30分到4時30分雷達回波合成動態圖(圖片源自臺灣氣象局) 中央氣象臺昨日分析到的“莫蘭蒂”近中心最大強度達到70米/秒,截止發稿前,“莫蘭蒂”強度已經略微減弱到了65米/秒,預計未來幾小時強度將維持或略微減弱。 70米/秒=252公里/小時的風速大概是什么概念?京滬高鐵的平均時速是275公里/小時,也就是說“莫蘭蒂”中心附近的最大風速已經接近京滬高鐵的平均時速。毫無疑問,今年第14號超強臺風“莫蘭蒂”已經成為了今年全球臺風(颶風)之王! 中央氣象臺登陸意見 中央氣象臺預計“莫蘭蒂”最大可能于中秋節當天(15日)早晨在福建和廣東交界沿海附近登陸,登陸時的強度將為強臺風級(中心附近最大風力14-15級)。 中央氣象臺9月14日05時發布的“莫蘭蒂”未來2天的路徑概率預報圖 “莫蘭蒂”對福建和廣東沿海地區的影響將于今天(14日)開始逐漸顯現。風、雨、潮的共同影響將可能對上述沿海地區帶來巨大災害,當然還更需謹防泥石流、山體滑坡等各類次生災害的影響。 第16號臺風“馬勒卡”動向 今年第16號臺風“馬勒卡”14日02時中心位于距離臺灣省花蓮市東偏南方向1670公里的洋面上,也就是東經134.4°,北緯15.0°。“莫蘭蒂”中心附近最大風速23米/秒(9級,熱帶風暴),中心最低氣壓990百帕。 預計,馬勒卡將以每小時20公里的速度向西偏北方向移動,強度逐漸加強。 中央氣象臺9月14日02時發布的馬勒卡未來5天路徑概率預報 現在可以稍微肯定的是“馬勒卡”未來的強度也極有可能達到超強臺風。它前期的路徑和“莫蘭蒂”比較類似將逐漸向臺灣東部洋面接近,后期路徑還需要繼續監測。預計在“莫蘭蒂”登陸并深入內陸減弱后,對于“馬勒卡”的路徑預測會進一步清晰起來。 暴雨黃色預警:福建廣東臺灣有大暴雨或特大暴雨 中央氣象臺9月14日06時發布暴雨黃色預警: 預計,9月14日08時至9月15日08時,江蘇南部、浙江東部和南部、福建東部和中南部、廣東東部、臺灣大部、四川盆地中南部等地的部分地區有大雨或暴雨,其中,福建東北部和東南部、廣東東部、臺灣中南部等地的局地有大暴雨或特大暴雨(250~450毫米),上述局地并伴有短時強降水,小時雨強可達30~60毫米。 我們提醒: 1、莫蘭蒂有可能是閩南歷史上最強的登陸臺風,廈漳泉的朋友,應以防范歷史紀錄級別臺風的標準防御它。 2、莫蘭蒂經過臺灣“扒皮”后,風圈再度縮小,10級風圈半徑只有50公里。所以莫蘭蒂來臨之前3小時內,風力不會明顯增強,甚至可能減弱;但當莫蘭蒂核心區來臨之后,狂風暴雨將迅猛加強。 3、廈漳泉地區的潮差很大,莫蘭蒂是真正的風、雨、潮三碰頭臺風,一定不要去海邊,一定要撤離低洼地帶,一定不要抱有任何僥幸心理。 4、之前的登陸重點嫌疑地區:潮汕地區的壓力可能會減輕,如果莫蘭蒂登陸閩南,潮汕地區的風力不會太大,潮水也不會太大,暴雨還是會有。當然,莫蘭蒂沒登陸之前,誰也不敢打包票就一定不會登陸潮汕地區,所以在登陸前,潮汕地區還是應該以“寧可信其有”的態度做好防范。 5、莫蘭蒂登陸點以北的沿海省份,從廈漳泉一直到江蘇沿海都會陸續出現大到暴雨,其中江浙滬是莫蘭蒂、16號臺風馬勒卡外圍東風和冷空氣的交匯地區,倒槽暴雨可能會很大,而且時間比較長,是一個被遺忘的臺風影響區域。反而是珠三角,影響倒不會太大,粵西甚至會吃臺風下沉氣流。 本文根據中國氣象愛好者、臺風監測、中國天氣網綜合整理 |

| 重點推薦 |
| |
免責聲明:
1、凡本網注明“來源:水產前沿網”的所有作品,均為水產前沿網合法擁有版權或有權使用的作品,未經本網授權不得轉載、摘編或利用其它方式使用上述作品。已經本網授權使用作品的,應在授權范圍內使用,并注明“來源:水產前沿網”。違反上述聲明者,本網將追究其相關法律責任。
2、凡本網注明“來源:XXX(非水產前沿網)”的作品,均轉載自其它媒體,轉載目的在于傳遞更多信息,并不代表本網贊同其觀點和對其真實性負責。
3、如本網轉載涉及版權等問題,請作者在15天內來電或來函與水產前沿網聯系。聯系方式:020-85595682。
